SEBASTIAN – Spaghetti models of Hurricane Maria show that areas like Sebastian, Fellsmere, and Vero Beach are safe from the storm.
However, many residents in Indian River County are still afraid that Hurricane Maria is going to make landfall, even though the latest computer models show different.
Some residents in Sebastian and Vero Beach don’t trust the hurricane models enough, calling them inaccurate since Irma. So far, the predictions by GFS and the European models have been accurate.
There are so many things that steer a storm, and some of them are the high-pressure system and a cold front. The high-pressure kept Irma away from the east coast of Florida. But now, the high-pressure has moved more eastward, steering Maria back out into the ocean.
A cold front can also steer Hurricane Maria eastward, and as it moves up the east coast, there is another jet stream that could keep it away from land. We’re seeing that now with Jose.
“The hurricane is expected to turn north-northwestward and northward around a subtropical ridge over the Atlantic for the next 2 to 3 days. Late in the forecast period, a mid-level high over the northeastern U.S. could slow the forward motion somewhat. This high is forecast by the global models to subsequently weaken, however, which should allow Maria to turn north-northeastward in the flow on the northwestern edge of a subtropical ridge over the west-central Atlantic,” the National Hurricane Center said.
The mid-level high is what we were describing, the high-pressure that’s steering this hurricane back out into the Atlantic. But you don’t have to take our word for it, look what the National Hurricane Center said. Maria is turning “north-northwestward and northward” during the next few days.
Where is Hurricane Maria?
Maria is now moving away from Puerto Rico causing major floods, and the pictures coming out of the island reveal a lot of damage. Our friends down there tell us that everyone is safe, but most of the island is without electricity.
A Hurricane Warning is in effect for Dominican Republic, the Turks and Caicos Islands, and the southeastern Bahamas. Hurricane Maria is expected to bring dangerous wind, storm surge, and heavy rainfall to those areas.
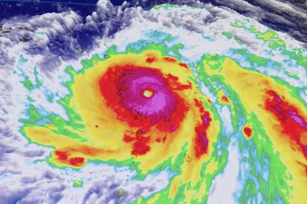
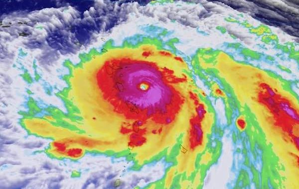
The eye of Hurricane Maria is currently passing offshore of the northeastern coast of the Dominican Republic with maximum sustained winds of 115 mph.
Sebastian and Vero Beach residents should monitor the storm, but all tracks and spaghetti computer models agree that Hurricane Maria will not hit Florida. Unless something changes, it’s safe to say we are not getting hit by this hurricane.

